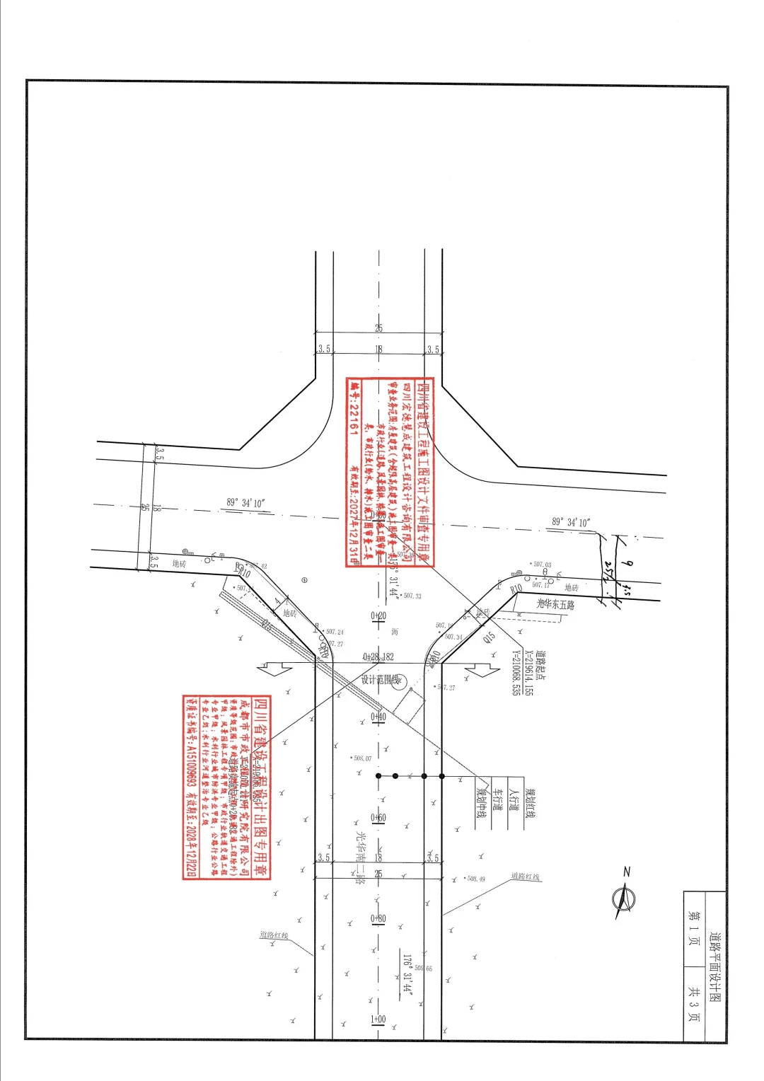
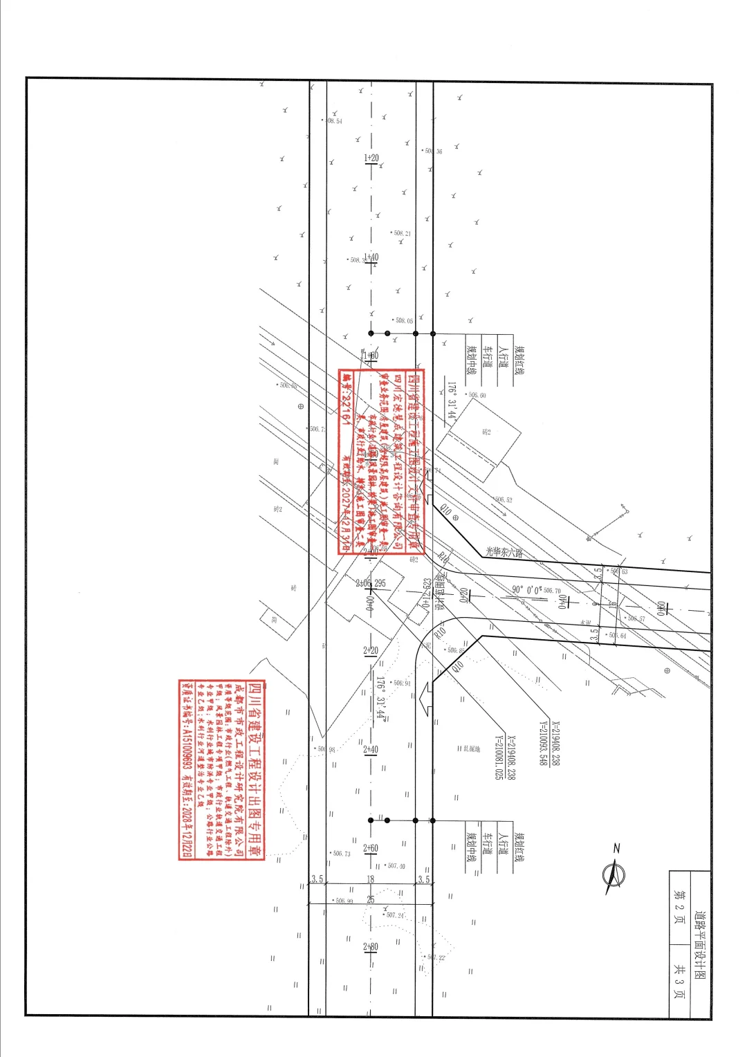
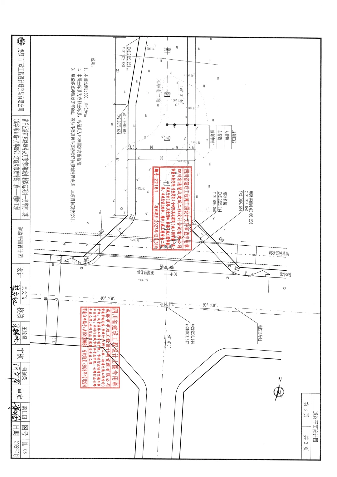
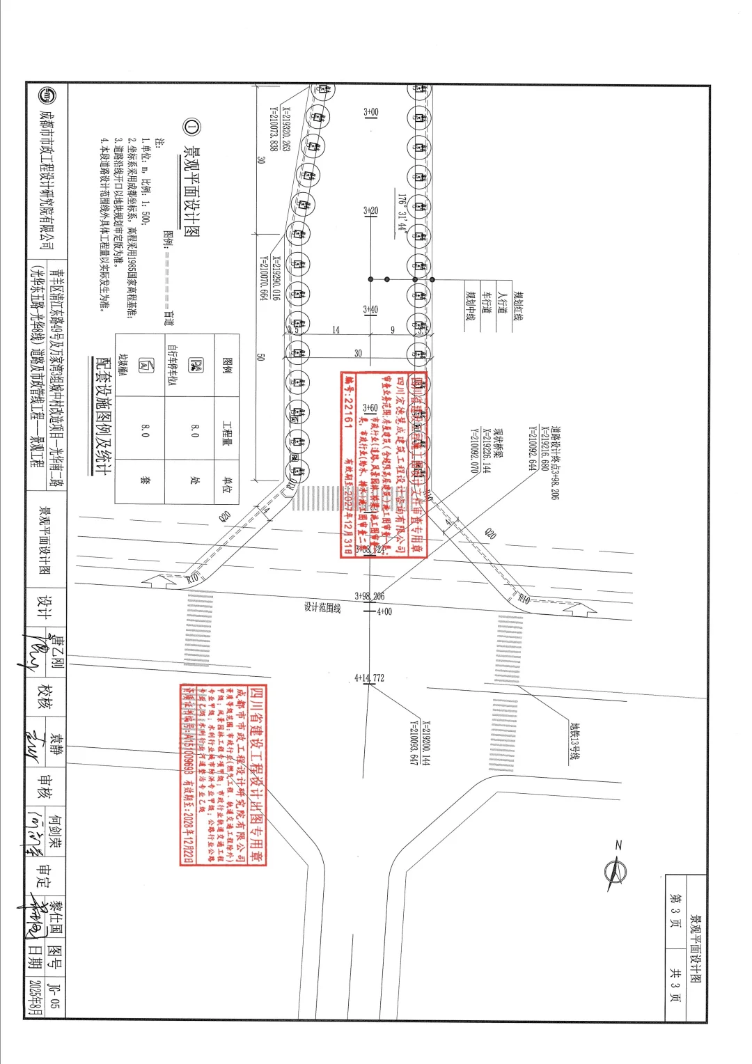
光华南二路(光华东五路-光华8线)
2025-10-30 18:07
光华南二路(光华东五路-光华8线)


















光华南二路(光华东五路-光华8线)
位于:成都市青羊区蔡桥街道万家湾社区,北起光华大道,南至光华八线。
项目:青羊区光华南二路道路规划设计长度约414.772米,实施长度约370.03米,红线宽度25米。
主要建设内容包括道路工程、给排水工程、照明工程电力工程、交通工程、涵洞工程、绿化景观工程及附属工程等。
[2025年10月17日开始施工招标]
工期:2025年12月-2026年11月
#万家湾 #培风 #悦湖